DRYNESS & DEHYDRATION
Your skin requires an abundance of hydration and moisture to look and feel healthy, soft and youthful. But as you age, your skin’s natural sources of hydration diminish, which is why it’s vital to consistently replenish it.
TOP HYDRATING AND MOISTURIZING PRODUCTS
With technology that delivers powerhouse ingredients like hyaluronic acid exactly where the skin needs them, our ultra-hydrating skincare products will bathe your skin with the boost it needs to stay plump, balanced and radiant 24/7.
SHOP ALL >
TARGETED SETS & POWER DUOS
Whether it’s a complete daily skincare regimen to maximize moisture or mega boosters that instantly plump up skin and lips whenever you need it, our hydration-focused kits will leave dry patches, premature fine lines and flakiness in the dust once and for all.
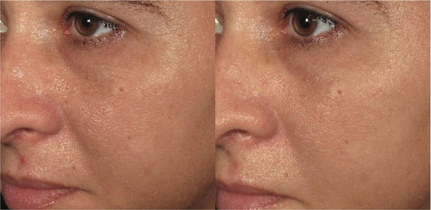
SHOP SKINCARE SETS >CLINICAL RESULTS
Watch how our clinically proven hydration products can visibly plump up the appearance of your skin.







